| 廣告聯系 | 簡體版 | 手機版 | 微信 | 微博 | 搜索:
歡迎您 游客 | 登錄 | 免費注冊 | 忘記了密碼 | 社交賬號注冊或登錄

首頁

溫哥華資訊

溫哥華地產

溫哥華教育

溫哥華財稅

新移民/招聘

黃頁/二手

旅游

"風王"殺到 超級台風逼近這些島嶼


請用微信 掃一掃 掃描上面的二維碼,然後點擊頁面右上角的 ... 圖標,然後點擊 發送給朋友分享到朋友圈,謝謝!
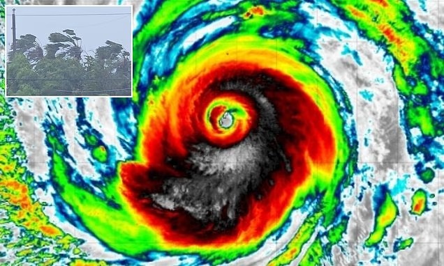
(加西網綜合) 據美國氣象部門監測,一場被稱為“超級台風辛拉庫”(Super Typhoon Sinlaku)的五級強台風正在快速逼近美國在太平洋的多個領地,預計將給當地居民及游客帶來持續性嚴重破壞。


該台風最大持續風速已達約173英裡/小時(約278公裡/小時),屬於五級台風/颶風最高等級,也成為本年度太平洋風暴季最強熱帶氣旋之一。




目前,台風"辛拉庫"增強為超級台風,風力達到五級颶風級別。這場強台風目前正從關島東北方向經過,使該島免受直接影響。


但另一美國領土北馬裡亞納群島以及塞班島和天寧島正遭受正面襲擊。





氣象預報顯示,該系統預計將在周二晚間至周三期間對上述地區形成直接沖擊。


數千游客受困 基礎設施面臨全面考驗

受台風影響,目前已有近2000名游客滯留在美屬太平洋島嶼地區,航班已全面取消,約1500名旅客無法按計劃離島。當地政府警告,強風、暴雨、洪水及停電風險極高。
您的點贊是對我們的鼓勵     好新聞沒人評論怎麼行,我來說幾句
上一頁12下一頁
注:
  • 加西網版權所有,未經授權或許可,嚴禁轉載或摘錄
  • 在此頁閱讀全文
    猜您喜歡:
    您可能也喜歡:
    我來說兩句:
    評論:
    安全校驗碼:
    請在此處輸入圖片中的數字
    The Captcha image
    Terms & Conditions    Privacy Policy    Political ADs    Activities Agreement    Contact Us    Sitemap    

    加西網為北美中文網傳媒集團旗下網站

    頁面生成: 0.0332 秒 and 5 DB Queries in 0.0067 秒